Ê kíp phẫu thuật ca bệnh nối bàn tay vào cẳng chân cho nữ bệnh nhân
ẢNH: BỆNH VIỆN CUNG CẤP
Trước đó, bệnh nhân L.N.P (khoảng 20 tuổi, ở TP.HCM) không may bị tai nạn lao động trong lúc làm việc tại nhà máy, khiến vùng 1/3 dưới cẳng tay phải bị dập nát và bàn tay bị đứt lìa hoàn toàn. Sau khi được sơ cứu tại một cơ sở y tế, người bệnh được chuyển gấp đến Bệnh viện đa khoa Bình Dương.
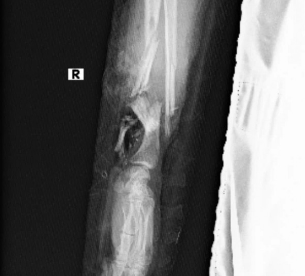
Ảnh chụp X-Quang và hình ảnh bàn tay được nối vào chân nữ bệnh nhân thời điểm ca phẫu thuật thành công
ẢNH: BỆNH VIỆN CUNG CẤP
Khi tiếp nhận, các bác sĩ ghi nhận nữ bệnh nhân không rơi vào tình trạng sốc, tỉnh táo, đang mang song thai ở tuần thứ 23. Ngay sau đó, đội ngũ y, bác sĩ tại bệnh viện đã hội chẩn liên khoa khẩn cấp, nhằm đánh giá toàn diện và đưa ra phương án can thiệp tối ưu nhất, đảm bảo an toàn tuyệt đối cho thai phụ và hai thai nhi.
Bàn tay bị đứt lìa được ghép vào chân của nữ bệnh nhân
ẢNH: H.G
Tuy nhiên, mong muốn của cô gái trẻ là có thể giữ lại bàn tay để sau này được trực tiếp chăm sóc hai con bằng chính đôi tay của mình.
Trước nguyện vọng đó, các bác sĩ đã đưa ra quyết định khó khăn nhưng đầy tính nhân văn là sẽ tiến hành bảo tồn bàn tay đứt lìa bằng cách ghép tạm thời vào cẳng chân (P), kèm nối mạch vi phẫu, che phủ đầu gần cẳng tay vào vạt da ngẫu nhiên vùng bụng, nhằm duy trì tuần hoàn máu và giữ nguyên cấu trúc mô trong thời gian chờ nối lại tay vào thời điểm thích hợp hơn.
"Đây là một ca phẫu thuật đặc biệt phức tạp, đòi hỏi sự phối hợp chặt chẽ và liên tục giữa nhiều chuyên khoa, đồng thời phải đảm bảo ổn định sức khỏe của cả mẹ và thai nhi", ê kíp phẫu thuật chia sẻ.
Phần cẳng tay được ghép vào vùng da bụng
ẢNH: H.G
"Ca mổ đã kéo dài liên tục 3 giờ, trong suốt quá trình phẫu thuật, các bác sĩ vừa thực hiện nối mạch để ghép tạm bàn tay vào chân, vừa theo dõi sát tình trạng thai nhi để đảm bảo không xảy ra biến chứng nào ngoài ý muốn. Kết quả bước đầu rất khả quan: tình trạng sản phụ ổn định, song thai phát triển bình thường và bàn tay được bảo tồn đang tiến triển tốt", Bệnh viện đa khoa Bình Dương thông tin.
Cũng theo Bệnh viện đa khoa Bình Dương, ca mổ đã mở ra hy vọng phục hồi chức năng bàn tay cho chị L.N.P, khi đang mang song thai. Dự kiến, khi thai lớn trên 32 tuần, sẽ xem xét phương án phẫu thuật nối lại bàn tay cho người bệnh.
Sau khoảng 1 tuần, ca mổ diễn ra thành công, nữ bệnh nhân trẻ đang mang song thai cho biết đã bớt đau
ẢNH: H.G
Hiện tại, sức khỏe của L.N.P đã ổn định, tinh thần tỉnh táo và có thể nói chuyện bình thường với mọi người.
"Em chỉ muốn được bế con của em, đó là niềm hạnh phúc của em. Giờ con em nó đạp rất nhiều, tay chân em cũng đã bớt đau nhiều rồi, trong người em rất khỏe", chị L.N. P chia sẻ.










.jpg)



